Tecnología, ciencia y cultura digital
We may earn a commission from links on this page

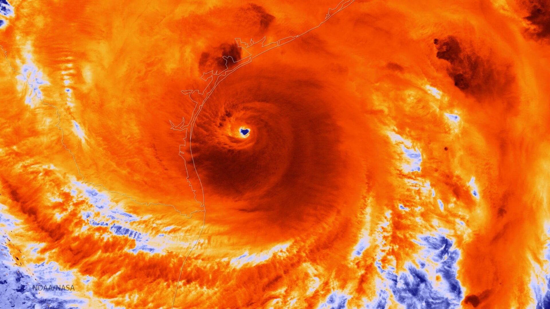
El ciclón tropical Patricia fua tan intenso que disparó un rayo de antimateria hacia la tierra

We may earn a commission from links on this page.

Cuando piensas en un planeta extraterrestre, es posible imaginar un lugar extraño y tormentoso con un entorno inhóspito, rayos frecuentes y radiación extrema. Pero, ¿quién necesita imaginación cuando las tormentas en la Tierra ya emiten radiación, incluida la antimateria, en dirección al suelo?

El huracán Patricia en 2015 fue el segundo ciclón tropical más intenso jamás registrado, viajando por la costa del Pacífico de México con vientos que superaban las 340 kilómetros por hora. A pesar de las adversas condiciones, los científicos todavía tenían que hacer… ciencia, y volaron en un avión a través de la pared del ojo del huracán el 23 de octubre de 2015. Los instrumentos del avión midieron los rayos gamma emitidos por los rayos dentro del huracán, así como lo que parecía ser un rayo de luz de positrones, la antimateria opuesta a los electrones. Eventos como estos son probablemente más comunes de lo que piensas.

Advertisement

Estos destellos de rayos gamma terrestres pueden ocurrir en cualquier tormenta que haga relámpagos”, le dijo a Gizmodo David Smith, uno de los autores del estudio de la Universidad de California en Santa Cruz.

Advertisement
Advertisement

El detector a bordo del avión midió un fenómeno en el que los científicos han estado interesados ​​durante décadas: los destellos de rayos gamma terrestres. No está claro exactamente cómo sucede, pero los rayos en las tormentas parecen acelerar los electrones a una velocidad caso liviana. Estos electrones colisionan con las partículas en la atmósfera, dando como resultado rayos X y rayos gamma de alta energía que los científicos han medido en satélites y en el suelo. Los rayos también podrían ser el resultado de las colisiones entre los electrones y sus compañeros antimateria, los positrones.

El equipo detrás del nuevo paper tenía una herramienta llamada Airborne Detector for Energetic Lightning Emissions (ADELE) a bordo de un avión WP-3D cazador de huracanes, según el artículo publicado recientemente en el Journal of Geophysical Research: Atmospheres. Fue un experimento muy simple de detección de radiación: dos piezas de plástico y un tipo especial de cristal, llamados centelleadores, que parpadean cuando una partícula de alta energía los golpea. Un instrumento llamado tubo fotomultiplicador convierte los flashes en señales que una computadora o un osciloscopio puede leer. También había un detector de ondas de radio.

Los centelleadores parpadearon 184 veces en una fracción de segundo después de un rayo en la pared del ojo del huracán Patricia. Basándose en su modelado, la señal coincidía con lo que sería un haz descendente de positrones, lo que significa que no midieron los positrones directamente.

Advertisement

Esta es la primera vez que se ha medido ese efecto en la pared del ojo de un huracán, aunque se sabe que ocurre en muchos tipos de tormentas diferentes. Y no, los positrones no son algo de lo que preocuparse, ya que probablemente ya estás siendo alcanzado por un rayo. Los positrones son un subproducto típico de ciertas fuentes radiactivas, y sus números caen estrepitosamente con la distancia. Aún así, dijo Smith, si estuvieras en un avión en el lugar más desafortunado exacto en el momento más desafortunado (más alto de lo que su avión experimental voló) podrías recibir una dosis letal de radiación.

Lo más interesante para Smith fue el misterio de por qué estos eventos salvajes suceden cuándo y cómo lo hacen. “Desde una perspectiva científica, este es un fenómeno exótico y hay muchas cosas que no entendemos, como por qué es tan brillante y por qué sucede a veces y otras no”, dijo. “Estamos tratando de entender cualquier fenómeno que la naturaleza nos arroje”. [JGR Atmospheres]