2020 nos dejaba la peor tormenta para el final: un huracán sin precedentes se acerca a Centroamérica
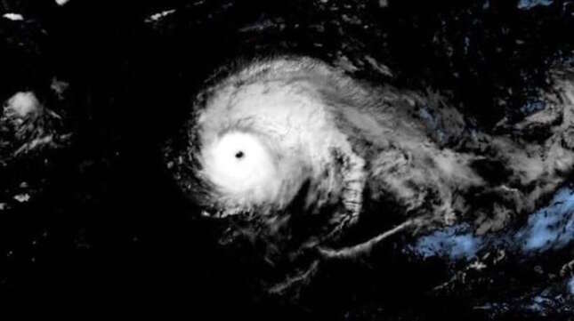
Por segunda vez en dos semanas, Centroamérica se enfrenta a una tormenta feroz. El huracán Iota explotó durante el…
Por segunda vez en dos semanas, Centroamérica se enfrenta a una tormenta feroz. El huracán Iota explotó durante el…

A través de la compañía de monitoreo satelital ICEYE podemos apreciar el impacto que ha tenido el paso del huracán…
Se calcula que casi dos millones de personas podrían estar en riesgo de alerta en la costa de Estados Unidos por la…
Llevo unos días leyendo sobre la fiereza del huracán Florence, que tocará tierra en las Carolinas. Pero ninguna image…
La historia se hizo viral cuando un fotógrafo publicó varias imágenes donde se mostraba una reserva de agua…
En algún momento del jueves, quizás el viernes, los pronósticos indican que el huracán Florence tocará tierra en el…
Las islas de Hawái se encuentran amenazadas por un huracán llamado Lane. La tormenta, que ya alcanzó la categoría 5,…
En las últimas horas, el huracán Lane se ha convertido en una tormenta de categoría 5 mientras se acerca a la costa…
El fenómeno climático El Niño, el cual comienza con aguas más cálidas de lo normal en el oriente del Océano Pacífico…
Advertisement