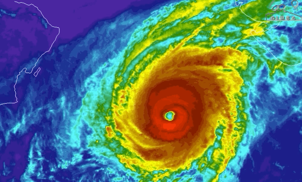
La región de ciclones tropicales menos activa del hemisferio norte está comenzando a explotar. El ciclón Kyarr se formó el pasado jueves en el océano Índico y rápidamente se convirtió en la tormenta más poderosa del planeta. Aunque no tendrá un gran impacto en tierra firme, sí está haciendo sentir su presencia en los libros…
La temporada de huracanes del Atlántico todavía no ha finalizado. Después del terrible paso de Harvey, Irma y María, la tormenta tropical Nate está a punto de convertirse en un huracán y amenaza tanto a Cancún como a regiones de los Estados Unidos, incluyendo partes de Alabama, Misisipi y Luisiana. Según datos publicados por el…
Hace casi dos semanas el huracán Matthew se convirtió en una bestia de categoría 4 y pasó por algunas de las naciones más pobres del Caribe, para finalmente dirigirse a la costa de Estados Unidos. Su paso por Haití fue completamente devastador, y estas imágenes espaciales son la prueba. Los responsables del NASA Earth Observatory…
No hay duda de que el huracán Matthew ha sido una tormenta aterradora. Pero la peor noticia es que esta es la clase de tormenta a la que vamos a acostumbrarnos en este mundo cada vez más cálido. Hace poco más de una semana Matthew no era más que una tormenta tropical sin nombre en…
El huracánMatthew pasó por las costas de Florida durante las últimas horas después de que afortunadamente disminuyó su intensidad de categoría 4 a 3. Pero su paso ha cobrado como víctima a una mujer de 58 años de edad, además de haber dejado temporalmente sin energía eléctrica a más de 600.000 personas en la región.…
El huracánMatthew es una de las tormentas más potentes que ha tocado el Caribe durante la última década. Esta tormenta tropical lamentablemente ya ha tomado la vida de 108 personas en Haití y al menos 4 personas en República Dominicana. Además, el huracán ha hecho desplazarse a decenas de miles de personas en varias regiones…
El huracán Matthew ya está tocando las costas de Florida, y debido a las altas velocidades de sus vientos el presidente Barack Obama ha declarado el estado de emergencia para la región. Esto significa que más allá de las evacuaciones que ya llevó a cabo el estado ahora los fondos federales estarán disponibles para atender…
El huracán Matthew termina su paso por el Caribe y ahora se prepara a entrar en contacto con las costas del sur en los Estados Unidos. En la nación algunos regiones han comenzado a evacuar mientras esperan el impacto de los vientos de esta tormenta tropical que se ubica entre las categorías 3 y 4.…