Un nuevo estudio revela que muchas especies de reptiles no eliminan desechos líquidos, sino sólidos en forma de microcristales de ácido úrico. Este mecanismo, que les permite conservar agua, podría ofrecer claves para tratar afecciones humanas como la gota o los cálculos renales.
Un estudio revela cómo dos fracturas tectónicas colosales modificaron los ríos y las montañas de Madagascar, alterando su relieve y dando origen a una biodiversidad sin igual. La investigación explica por qué este fragmento de tierra concentra algunas de las especies más singulares del planeta.
Científicos revelan cómo algunas aves migratorias recorren miles de kilómetros sin detenerse ni alimentarse. Los hallazgos sobre su metabolismo extremo podrían inspirar tratamientos humanos contra la pérdida muscular y enfermedades crónicas.
Un pigmento descubierto en algas marinas actúa como un escudo natural contra la radiación solar intensa. Su eficacia para disipar energía podría inspirar una nueva generación de tecnologías solares más eficientes y resistentes.
El planeta está rodeado de miles de fragmentos de satélites y cohetes que giran sin control. Lo que comenzó como un residuo técnico se ha convertido en una amenaza real para el GPS, el monitoreo climático y las misiones espaciales.
Un informe global confirma que el planeta ha cruzado su primer umbral climático irreversible: la muerte masiva de los arrecifes de coral. Los expertos alertan que los siguientes sistemas —Amazonas, corrientes oceánicas y capas de hielo— podrían ser los próximos en colapsar.
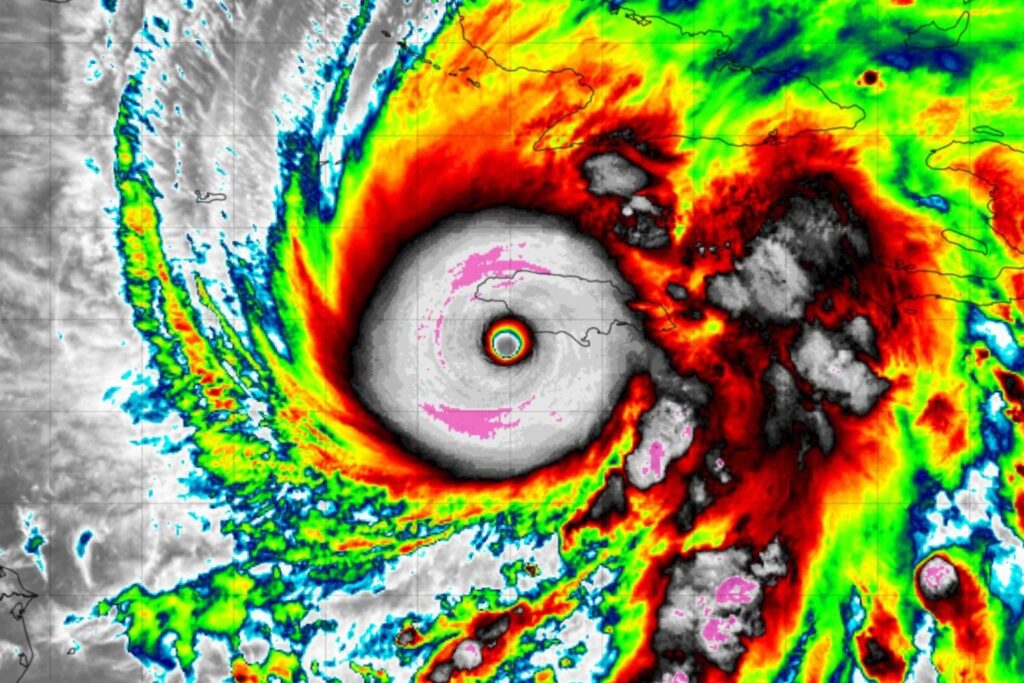
Los cazadores de huracanes de la NOAA descubrieron algo insólito en el ojo del huracán Melissa: cientos de aves volando dentro del ciclón más poderoso del año. El hallazgo reabre preguntas sobre cómo la fauna enfrenta los extremos del clima.
El huracán Melissa alcanzó la categoría 5 con vientos de 280 km/h y se convirtió en el más poderoso del Atlántico en 2025. Un vídeo captado desde el interior del ojo revela una calma tan bella como mortal.
Un dispositivo creado para investigar el Ártico ahora ayuda a prevenir avalanchas, evaluar carreteras de hielo y reducir el riesgo de inundaciones. Se llama SIMBA, y podría transformar la seguridad en los entornos más fríos del planeta.
Una bola de fuego verde cruzó el cielo de Moscú, desatando un debate entre astrónomos y especialistas en basura espacial. ¿Fue un meteoro desde el espacio profundo o los restos de una nave desintegrándose en la atmósfera?
Dos personas, la misma temperatura, sensaciones opuestas: una se abanica, la otra busca abrigo. ¿Por qué? La respuesta no está en el clima, sino en cómo el cuerpo humano interpreta el calor y el frío.
La turbulencia invisible del aire claro está aumentando en todo el planeta. La ciencia confirma que el calentamiento global altera los vientos en altura, provocando vuelos más inestables y un desafío inminente para la aviación del siglo XXI.
Los primeros 1.000 días de vida son decisivos para el desarrollo del microbioma humano. Este ecosistema invisible no solo protege el intestino, sino que influye en el cerebro, la inmunidad y el bienestar mental a largo plazo.
Un nuevo estudio revela el mecanismo cerebral que hace que algunas personas perciban su voz interna como si proviniera del exterior. El hallazgo podría cambiar la forma en que se diagnostica y trata la esquizofrenia.
Por primera vez, un equipo internacional logró anticipar con alta precisión los momentos en que una persona está soñando. Lo hicieron combinando inteligencia artificial, neurociencia y la mayor base de datos de sueños humanos jamás creada.
No es solo sudar juntos: la práctica de deporte en equipo mejora la autoestima, reduce la ansiedad y crea vínculos que protegen la salud mental. La ciencia revela por qué el movimiento compartido tiene un poder que el ejercicio individual no puede igualar.
Un estudio revela que el esperma masculino acumula mutaciones genéticas a lo largo de la vida. La paternidad tardía podría duplicar el riesgo de transmitir variantes dañinas, un hallazgo que cambia la visión sobre la herencia y la fertilidad masculina.
No hace falta mudarse al campo ni pasar horas en el bosque: la ciencia demuestra que apenas 20 minutos al día en contacto con la naturaleza pueden transformar tu salud, equilibrar tus hormonas y reducir el estrés de forma medible.
Tormentas, olas de calor y vientos descontrolados están actuando juntos contra los pingüinos. Un estudio internacional revela que el cambio climático no los amenaza con un solo fenómeno, sino con una combinación devastadora que exige un cambio inmediato en la conservación.
La tecnología para lograr vuelos limpios ya existe, pero el verdadero desafío no está en los laboratorios, sino en cómo el mundo financiero entiende el riesgo y la rentabilidad. Un nuevo estudio explica por qué cambiar la mentalidad puede ser más importante que inventar el próximo avión verde.