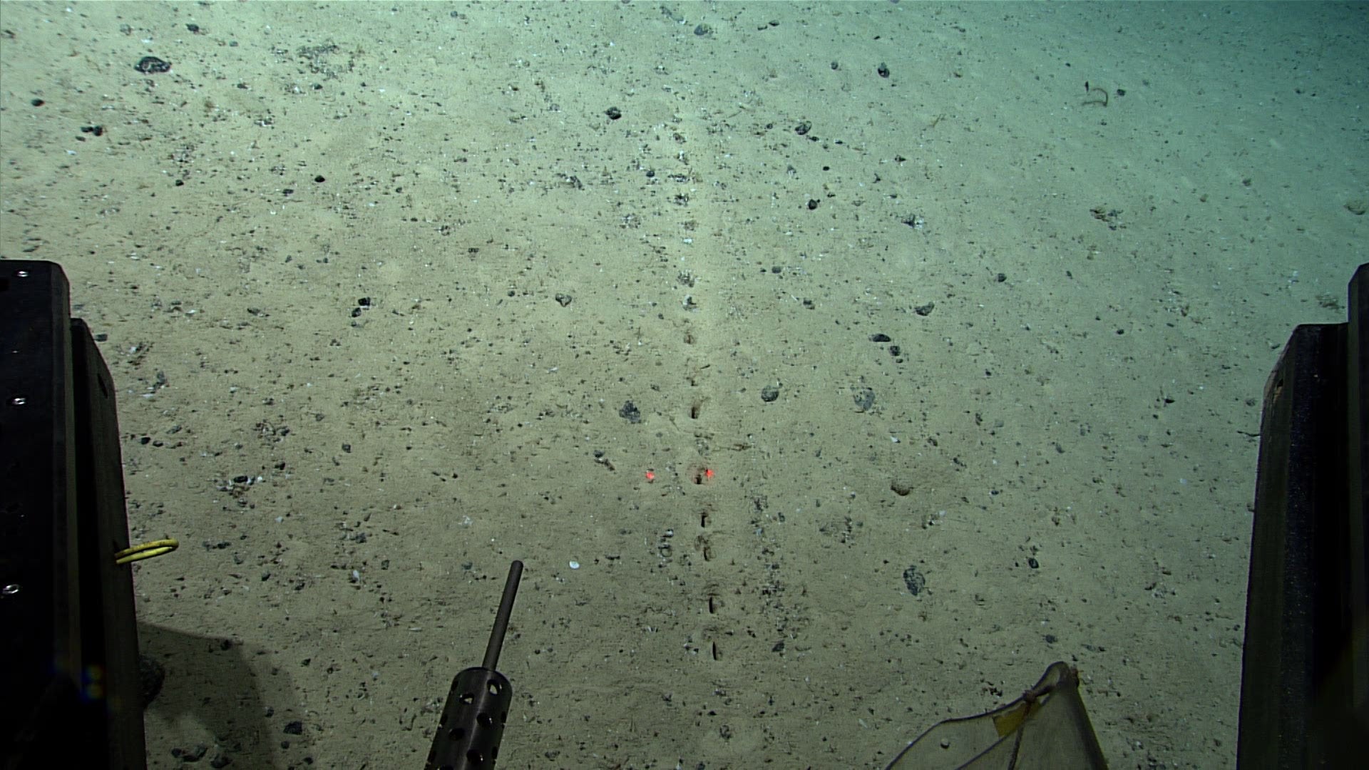
Tal y como cuentan desde la Administración Nacional Oceánica y Atmosférica (NOAA), se pide la ayuda quien tenga alguna pista del misterioso hallazgo en el fondo del Océano Atlántico. Al parecer, el pasado sábado el barco Okeanos Explorer encontró una línea de agujeros oblongos en la arena descritos como “casi hechos por humanos”.
En la página de Facebook de NOAA se decía lo siguiente:
En la inmersión de Okeanos del sábado, observamos varios de estos conjuntos sublineales de agujeros en el sedimento. Estos agujeros han sido previamente reportados en la región, pero su origen sigue siendo un misterio. Si bien parecen casi hechos por humanos, las pequeñas pilas de sedimento alrededor de los agujeros los hacen parecer como si hubieran sido excavados por… algo.

Ese “algo” es precisamente el enigma que tratan de resolver, de ahí que la organización haya apelado a las hipótesis del público. Para más pistas, cuentan que la inmersión tuvo lugar alrededor de un volcán alargado en una cresta volcánica en el Atlántico.
Y hasta aquí todo lo que se sabe de estos misteriosos agujeros. Se sabe que por ahora no ha habido suerte, y la mayoría de las respuestas obtenidas por la organización han sido más bien mixtas, desde “algún molusco” debajo de la arena como culpable de los orificios en el suelo, hasta los más atrevidos, que aluden a “algo que quedó de la Atlántida”.
Y a ustedes, ¿qué les parece? [Facebook]